ABD'ye doğru ilerliyor! 'Her şeyimizi kaybettik'

ABD'ye doğru ilerliyor! 'Her şeyimizi kaybettik'

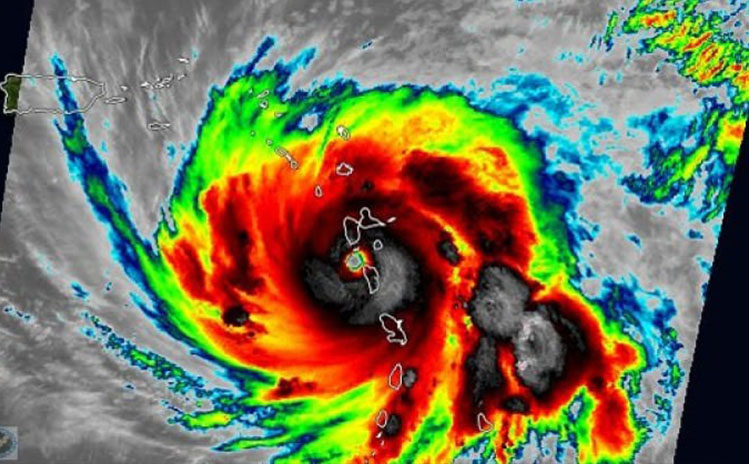
Irma kasırgasının ardından Maria kasırgasının vurduğu Dominika, tarihinin en büyük yıkımlarından birini yaşıyor.

4

BBC'nin haberine göre, Dominika Başbakanı Roosevelt Skerrit, kasırga nedeniyle ülkenin "büyük hasara" uğradığını belirtti. Skerrit, sosyal medya hesabından yaptığı paylaşımda, "Parayla satın alınabilecek her şeyi kaybettik" ifadelerini kullandı.

Başbakan Skerrit, daha önce yaptığı paylaşımlarda kendi evinin de sular altında kaldığını ve çatısının uçtuğunu belirtmiş, "doğanın merhametiyle" sağ kaldığı değerlendirmesinde bulunmuştu.

Kasırgada ölen ya da yaralanan olup olmadığı henüz bilinmiyor. ABD Ulusal Kasırga Merkezi (NHC), Maria kasırgasının derecesini "beşinci kategori" olarak güncelledi.

ABD'YE DOĞRU İLERLİYOR

Kasırganın saatte 260 kilometre hızla Karayipler'deki Dominika Adaları'nı vurduğunu açıklayan NHC, Maria'nın Karayipler'de etkili olduktan sonra ABD'nin güneydoğusunda, özellikle Florida'da hayatı tehdit eden Irma kasırgasına benzer bir güzergah izleyebileceği uyarısında bulundu.

IRMA KARAYİPLERİ YERLE BİR ETMİŞTİ

Ay başında aynı bölgede etkili olan Irma kasırgası, Karayipler'deki ülkelerin yanı sıra ABD'nin Florida, Georgia, Alabama, Kuzey ve Güney Carolina bölgelerini de etkilemiş, yaklaşık 7 milyon kişinin tahliye edilmesine neden olmuştu.

Karayipler'in doğusunda yer alan ada ülkesi Dominika, yaklaşık 72 bin nüfusa sahip.